register | confirm account | forgot password
Gurinder Grewal
Maxwell Polaris
202, 9618 42 Ave, Edmonton, Alberta
P: 780-450-6300
F: 780-450-6670
Email
Feature Listings Button
Button advertising your Feature Listings
Feature Listings
MLS® Search Button
Button advertising your MLS® Search page
Map-based MLS® Search
Mortgage Widget
Mortgage Widget Button allowing access to the Mortgage Calculator
Mortgage Calculator

Listing Details

For more information on this listing or other please contact me.

Courtesy of RE/MAX River City.
Data was last updated 2025-06-25 at 20:18:11 GMT
$259,900

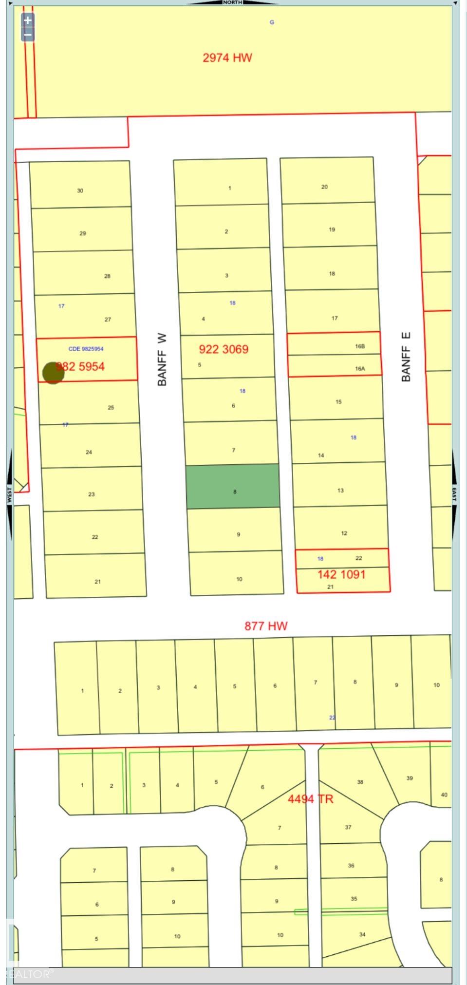
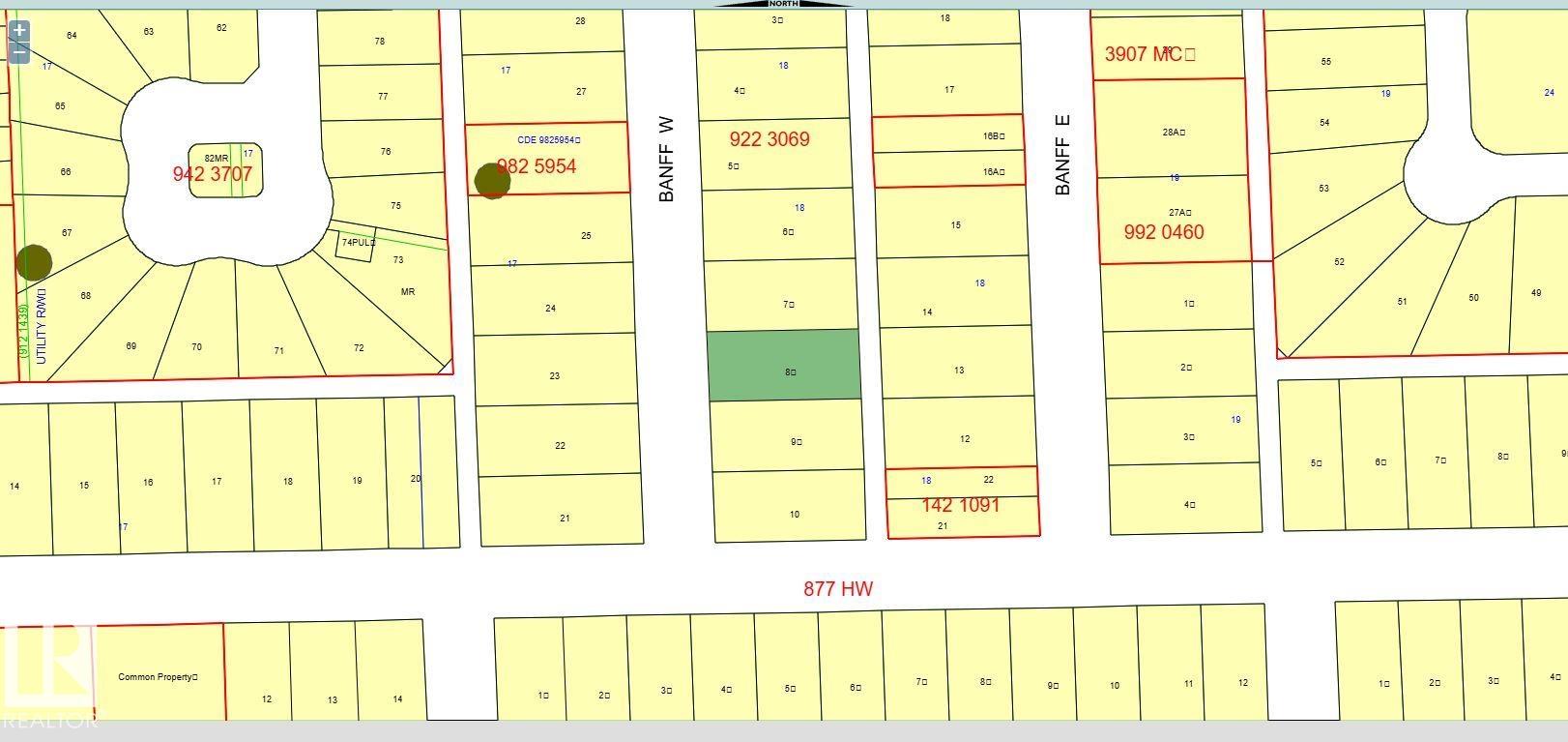
25 BANFF Court   Devon, Alberta

MLS®: E4455959
URL:    
Exceptional Development Opportunity in Devon! Investors and developers, take note! This spacious 845 sq. meter lot (19.8m x 42.7m) is zoned R4 High Density Residential, offering a wide range of possibilities. Subject to the town's approval, the permitted uses include apartment buildings, stacked townhomes, and cluster housing, giving you the flexibility to bring your vision to life. Perfectly situated in the heart of Devon, this property combines small-town charm with unbeatable convenience. Just steps from schools, parks, walking trails, and local amenities, it?s an ideal location for future residents seeking a balanced lifestyle where nature meets community. Commuters will appreciate the quick access to major routes and only 15 minutes to Edmonton International Airport, making this an attractive location for professionals and families alike. Don?t miss your chance to develop in one of the region?s most welcoming and vibrant communities.
Exceptional Development Opportunity in Devon! Investors and developers, take note! This spacious 845 sq. meter lot (19.8m x 42.7m) is zoned R4 High Density Residential, offering a wide range of possibilities. Subject to the town's approval, the permitted uses include apartment buildings, stacked townhomes, and cluster housing, giving you the flexibility to bring your vision to life. Perfectly situated in the heart of Devon, this property combines small-town charm with unbeatable convenience. Just steps from schools, parks, walking trails, and local amenities, it?s an ideal location for future residents seeking a balanced lifestyle where nature meets community. Commuters will appreciate the quick access to major routes and only 15 minutes to Edmonton International Airport, making this an attractive location for professionals and families alike. Don?t miss your chance to develop in one of the region?s most welcoming and vibrant communities.

Listing Information

Prop. Type:
Vacant Lot/Land
Status:
Active
City:
Devon
MLS® Number:
E4455959
Area:
Edmonton
Province:
Alberta
Listing Price:
$259,900

VIP-Only Information

Sign-Up or Log-in to view full listing details:
Sign-Up / Log In
This property is listed by RE/MAX River City and provided here courtesy of Gurinder Grewal. For more information or to schedule a viewing please contact Gurinder Grewal.
Gurinder Grewal
Maxwell Polaris
Phone: 780-450-6300
Mobile Phone: 780-709-7484
Inquire Via Email
Data is deemed reliable but is not guaranteed accurate by the REALTORS® Association of Edmonton.
Data last Updated: 2025-06-25 at 20:18:11 GMT America/Edmonton
This site's content is the responsibility of Gurinder Grewal, licensed REALTOR® in the Province of Alberta.
The trademarks REALTOR®, REALTORS®, and the REALTOR® logo are controlled by The Canadian Real Estate Association (CREA) and identify real estate professionals who are members of CREA. Used under license.
The trademarks MLS®, Multiple Listing Service®, and the associated logos are owned by The Canadian Real Estate Association (CREA) and identify the quality of services provided by real estate professionals who are members of CREA. Used under license.

© 2025, All Rights Reserved | Privacy Policy | Mobile Site | REALTOR® Websites by RealPageMaker